Hopp til innhold
Meny
Registrer ny bruker
Logg inn
Forhandler:
Ingen forhandler valgt
Forside
Til salgs
323586363
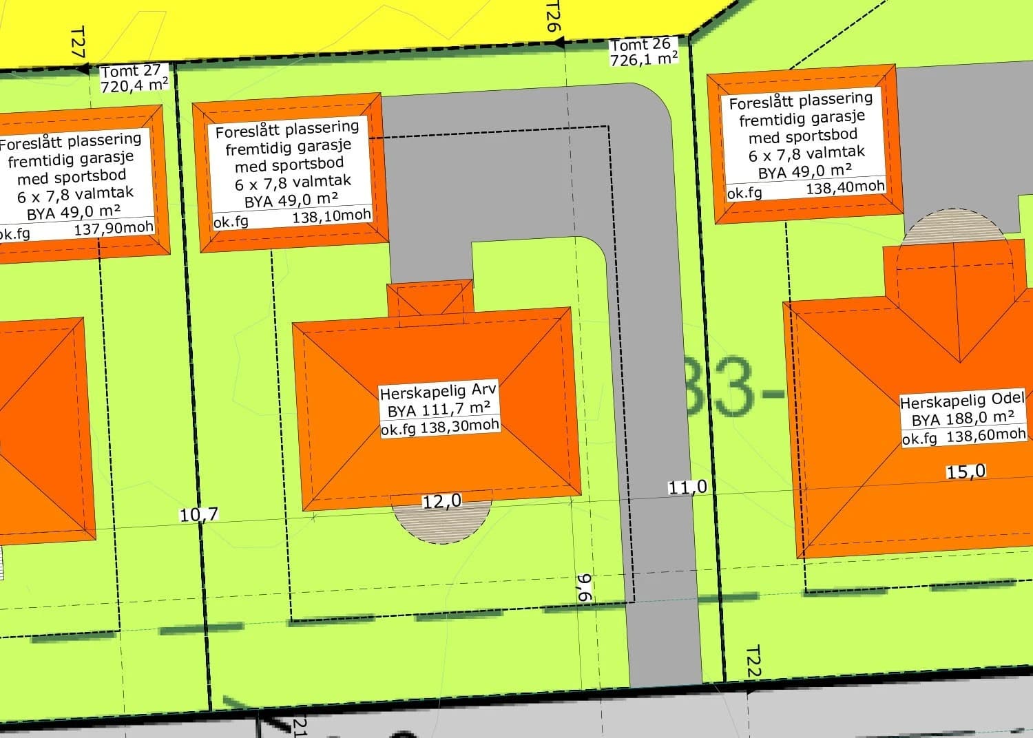
Oppaker, Nes - 6 nydelige eneboligtomter til salgs - to solgt!
Previous
Next
1
/23
Kart
Adresse:
Papirvegen, 2166 Oppaker, Norge
Google Maps is loading
Kontakt
Harald Halvorsen
+47 464 89 600
Send e-post
Se annonsen på Finn.no
https://www.finn.no/323586363